Pico y Placa Medellín

viernes

3 y 4 

3 y 4

Pico y Placa Medellín

jueves

0 y 2 

0 y 2

Pico y Placa Medellín

miercoles

1 y 8 

1 y 8

Pico y Placa Medellín

martes

5 y 7  

5 y 7

Pico y Placa Medellín

domingo

no

no

Pico y Placa Medellín

sabado

no

no

Pico y Placa Medellín

lunes

6 y 9  

6 y 9

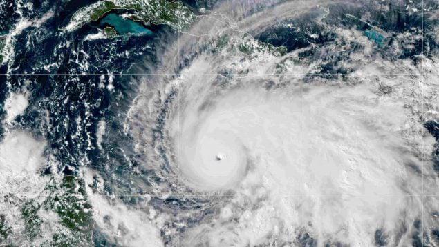
¿Hay colombianos afectados por el huracán Melissa en Jamaica y Cuba? Esto dijeron las Embajadas

Solo ocho colombianos que estaban de turismo en Montego Bay, Jamaica, contactaron a la embajada en ese país antes del paso del huracán. Las autoridades están intentando establecer comunicación de nuevo con ellos.

  • El huracán Melissa dejó devastación a su paso por Jamaica. FOTO: AFP
    El huracán Melissa dejó devastación a su paso por Jamaica. FOTO: AFP
  • Huracán Melissa
    Huracán Melissa
hace 2 horas
bookmark

Tras el paso delviolento y devastador huracán Melissa –en categoría 5– por Jamaica, el “día uno de recuperación” ha iniciado. Las autoridades, aunque le han ordenado a la población que permanece refugiada, ha comenzado a coger los destrozos y normalizar el fluido eléctrico y otros servicios en varios sectores de la isla que lo perdieron durante el paso del ciclo, cuyo ojo tocó tierra desde la 1:00 de la tarde (hora local) de este martes.

Huracán Melissa
Huracán Melissa

Lea aquí: ¿El suyo puede ser el nombre de un huracán? Acá le contamos cómo se escogen

Pese al insistente llamado de las autoridades a la población para que se refugiara en los más de 800 lugares que se instalaron para soportar el paso del huracán de forma segura, menos de 150 fueron usados, pues solo unas 15.000 personas atendieron el llamado de ocupar dichos espacios. Al menos un millón y medio de personas estaba en situación de riesgo, casi la mitad de la población de Jamaica, que ronda los 2.800.000 habitantes.

La isla, cuya economía se mueve en gran parte por el turismo, recibe a millones de visitantes año a año y, muchos de ellos terminaron atrapados en la nación insular en medio de la tormenta. Ese fue el caso, según información de la Embajada de Colombia en Jamaica, de ocho connacionales que estaban en la isla de turismo cuando se alertó por la llegada del huracán.

En diálogo con Blu Radio, la embajadora Emiliana Bernard aseguró que estos ocho colombianos contactaron a la sede diplomática –ubicada en Kingston– desde Montego Bay, antes del huracán, para notificar a las autoridades de su presencia en el país. La funcionaria indicó que tras el paso del ciclón no ha sido posible contactarse con ellos, por lo que están buscando maneras de establecer comunicación. Ya que el aeropuerto de Montego Bay sufrió averías por Melissa, buscarían evacuar a los turistas por otra terminal aérea.

Además de los ocho colombianos que estaban haciendo turismo en Jamaica, la Embajada colombiana tiene registro de entre 280 y 300 connacionales que residen en la isla y que, por el tiempo que tienen allí, están preparados para el paso de huracanes. No obstante, están prestos a brindar asistencia a quien lo requiera.

Situación de colombianos en Cuba

En Cuba, que está viviendo el paso del huracán Melissa este miércoles, degradado a categoría 2, el embajador de Colombia en la isla, José Noé Ríos, informó que tienen registro de 2.171 connacionales viviendo allí, pero ninguno se encontraría ubicado en las provincias en las que las autoridades cubanas declararon el “estado de alarma”: Granma, Las Tunas, Holguín, Camagüey, Santiago de Cuba y Guantánamo.

Siga leyendo: ¿Cómo influyó el cambio climático en el huracán Katrina? Aparece nueva evidencia 20 años después

El embajador indicó que la mitad de los colombianos residentes en Cuba son estudiantes de pregrados y especializaciones y ninguno se ha comunicado, hasta el momento, con la sede diplomática por alguna afectación relacionada con el paso del ciclón.

No obstante, la Cancillería publicó a través de sus redes sociales, las líneas de atención para brindar apoyo e información a los colombianos que lo requieran. Los números publicados por el ministerio son:

Para llamadas: +53 536 38 602

Vía WhatsApp: +57 316 661 1095

El empleo que buscas
está a un clic

Nuestros portales

Club intelecto

Club intelecto

Las más leídas

Te recomendamos

Utilidad para la vida